保护耕地!高科技无人机航测,如何助力高效土地整理?
转载 2017-11-24 16:13 极飞科技 来源:极飞科技

高科技无人机航测,对于测绘地信行业很多人来说已不陌生。从早先的地形、地貌测绘,到土地确权、电力巡检、工程测量、矿山调研等一系列扩展应用,只有你想不到,没有它做不到!
今天,小极就来一个案例分享,说说无人机航测如何助力高效土地整理。
案例概要
2017 年 9 月,根据福清市有关部门的土地整理项目需求,极飞地理派出测绘服务团队,对福清市多个乡镇、村庄进行作业规划,使用 C2000 智能测绘无人机,历时 3 天,完成超过 3 万亩土地的航测采集。然后依据采集的正射影像数据制作数字线画地形图(DLG),使用图像处理软件及二维矢量化软件(CASS)生产地形图,标注出土地属性(如农田,旱地,荒地等)、水域、水利设施、道路信息、山体走势等。
基于无人机航测生成的图像数据,有关部门能够更直观地掌握当地农田和土地信息,方便后续调整土地利用结构,重新分配土地资源,特别是,通过综合整治增加有效耕地面积,改善农业生态环境。
接下来,小极先为大家介绍本次土地整理航测作业的主角——“全智全能” 的极飞地理 C2000 智能测绘无人机。

C2000 功能概述
C2000 智能测绘无人机是一款工业级低空四旋翼无人机,搭载极飞自主研发的 SUPERX2 飞行控制系统,全程自主飞行,任意复杂地形随时作业,无需专业操作人员。采用大规模云端加密计算,一键上传数据,加密云计算对其统一进行处理、管理及分析。快速全自动空三,无需专业技术人员,大幅降低成本。
A2 智能手持终端
用户只需通过A2智能手持终端选定测绘区域,智能规划飞行航线,实时监控飞行器的飞行情况与信息采集情况。自动生成航线,简单易用,全程自主飞行,无需专业操作人员。
智能配对
A2 智能手持终端使用“测绘作业” APP,登陆账号。进入主界面,进入无人机管理进行飞机配对。

智能规划
新建任务,是手动添加需测绘的范围,自动生成飞行任务。打开“测绘作业” APP,登录账号进入主界面,点击进入“新建任务”。

确认测绘任务信息无误后。双击选中所建任务,进行添加地块。

智能飞行
规划区块后,只需按要求填写分辨率与重叠率,设置好飞行速度及起始点,即可自动生成航线、划分架次等功能,实现精准飞行。

智能解算
任务飞行完成,C2000 测绘机自动返航。利用 OTG 线连接飞机和 A2 地面站,将照片拷贝打包到A2地面站并上传到服务器进行云加密解算。

以下是具体案例成果展现,包括航测的详细参数、图像数据、控制点布设方案和精度报告。各路地信测绘专家请入!(因微信传图大小限制,图片被压缩、清晰度有所妥协。)
福清三山镇良棋村项目案例
9 月 8 日,使用 C2000 在福清市三山良棋村进行航测,测区地形主要以丘陵为主。
详细参数


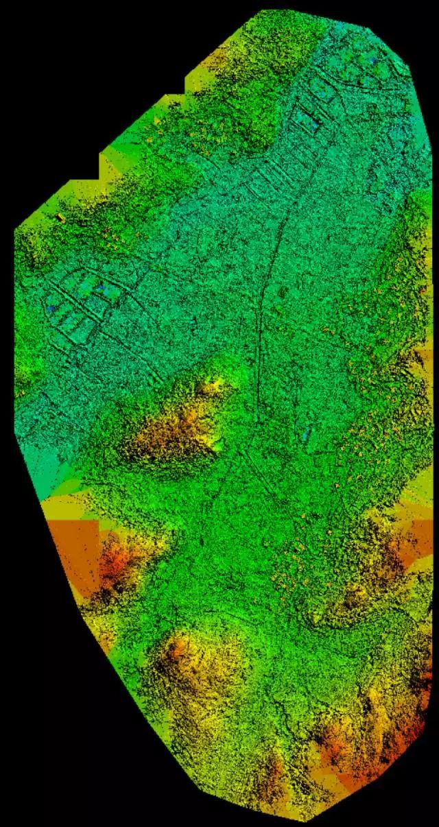
正射影像成果

全自动 DSM 成果
DLG 成果

局部DLG成果(真正射二维矢量化)
福清龙田镇项目案例
9 月 9 日,使用 C2000 在福清龙田镇进行航测,地形主要以低山丘陵为主。
详细参数


正射影像成果

全自动 DSM 成果
DLG 成果

局部 DLG 成果(真正射二维矢量化)
福清东瀚镇项目案例
9 月 10 日,使用 C2000 在福清东瀚镇莲峰村进行航测,地形主要以丘陵平原为主。
详细参数

正射影像成果

全自动 DSM 成果

DLG 成果

局部 DLG 成果(真正射二维矢量化)
福清沙浦镇项目案例
9 月 10 日,使用 C2000 在福清沙浦镇坑北村进行航测,地形主要以丘陵平原为主。使用 pix4d 软件进行影像数据空三解算处理,输出精度报告、DSM 和DOM。
详细参数

正射影像成果

全自动 DSM 成果
DLG 成果

局部 DLG 成果(真正射二维矢量化)
控制点布设方案
采用 RTK 实时定位载波相位差分技术,输出厘米级高精度 GPS 位置,无需或极少的控制点布设,如下图共 3 个外业检查点。

精度报告

3 个检查点
通过精度报告可知,加入控制点解算后的平面中误差为 0.07549834m。 高程中误差为 0.21502945m,满足 GB/T 23236-2009《数字摄影测量空中三角测量规范》规定的 1: 1000 地形图的精度要求。
小百科
土地整理,是指通过采取各种措施,对田、水、路、林、村综合整治,提高耕地质量,增加有效耕地面积,改善农业生态条件和生态环境的行为。
在一定区域内,按照土地利用总体规划的要求,结合土地利用现状,采取行政、经济、工程、技术、法律等手段,通过对土地利用结构进行调整,对土地资源进行重新分配,达到协调人地关系,提高土地利用率和产出率,促进土地资源可持续利用、改善和保护生态环境的目标。
相关资讯
更多- 锚定方向抓落实 凝心聚力谋新篇 | 武汉特飞公司传达学习杨雷董事长调研武汉特飞指示精神
- 大漠大亮相世界旅游经济论坛2025(GTEF): 在智能文旅浪潮中重塑全球旅游新格局
- 山东省测绘地理信息学会理事长曲伟刚一行莅临司南导航考察交流
- 历正科技 l 获批设立博士后科研工作站 筑牢低空安防新质生产力根基
- 中科云图荣获2024年度广东省科学技术奖
- 云圣智能实力登榜2025中国低空经济领军企业,“场景筑基 AI赋能”引领产业未来
- 气象服务新范式 赋能千行百业 | 中科星图“看天・预见未来气象服务产品发布会”成功举办
- 锁定「看见三亚」:千机科技邀全球品牌共舞海南夜空,独享亿级流量入口
- 民航局就限用类无人机及动力提升航空器适航标准公开征求意见
- 预告:66架电动飞机已下单,即将空降您身边的飞行主题乐园